Hafnia paralvei ISOLATED FROM AN EMPHYSEMATOUS PYOMETRA IN A BITCH

Authors

  • Carlos Arturo Rodríguez-Alarcón Universidad Autónoma de Ciudad Juárez http://orcid.org/0000-0001-7532-1640
  • Jorge A Leyva-Varela
  • Ricardo García-Herrera
  • Miguel O Montoya-Domínguez
  • Beatriz Macías-García
  • Diana M Beristain

DOI:

https://doi.org/10.26873/SVR-680-2019

Abstract

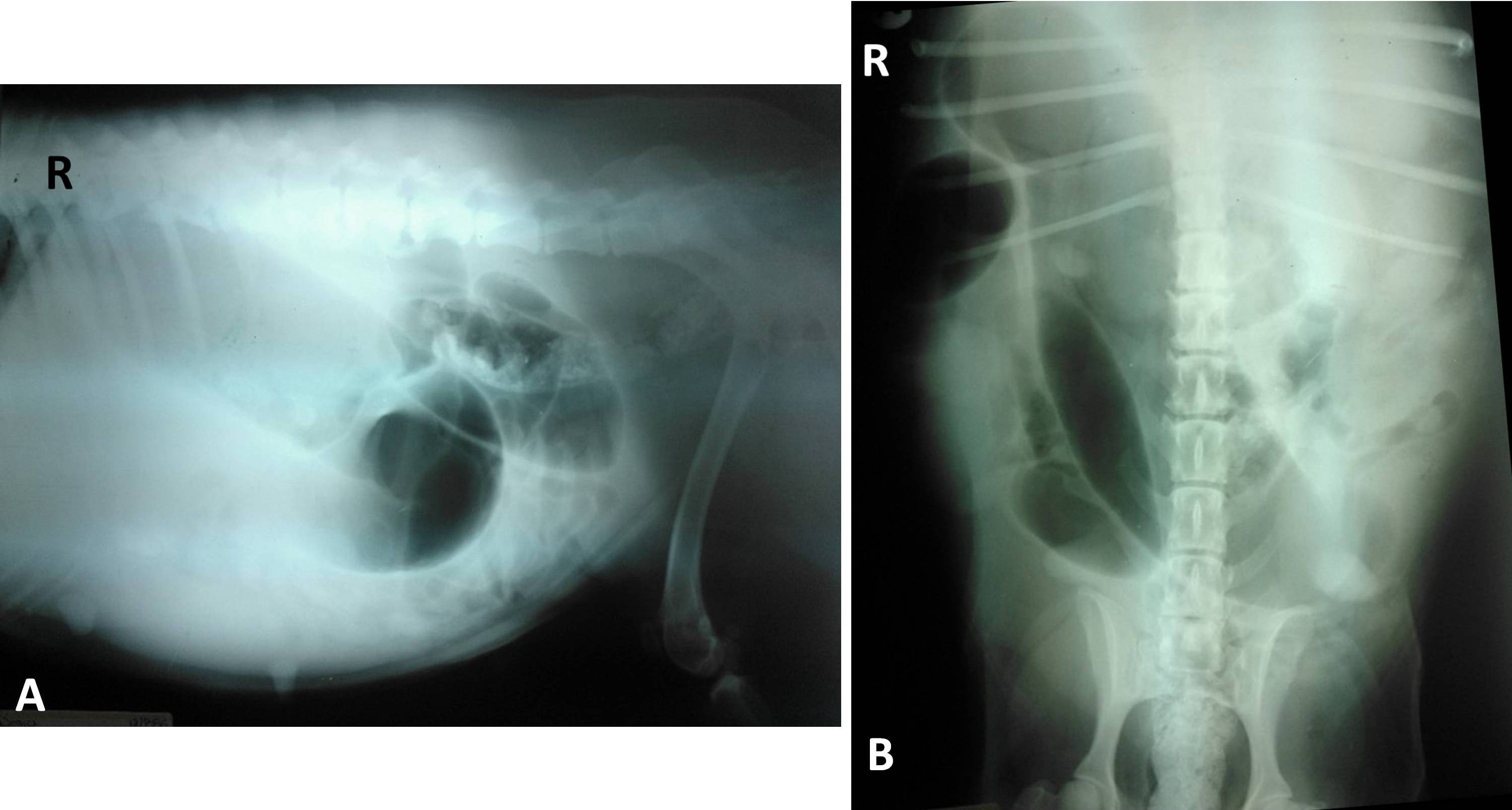
We report the case of a 9-year-old female Labrador retriever, presented to the Veterinary Teaching Hospital with a history of bloody/purulent and malodourous vulvar discharge, decreased appetite and progressive abdominal enlargement for about 20 days. Clinical examination showed a distended and painful abdomen and tympanic sounds on percussion. The patient also presented systemic inflammatory response syndrome (SIRS) and a leukemoid reaction with leukocyte count of 77.9 x 10 /L due to 62.32 x 10 /L lymphocytes. The abdominal radiography showed distended tubular structures occupying most of the abdomen; dorsal displacement of the colon in the left-right lateral projection was also found. The ultrasonographic study also revealed tubular structures in the mid-abdomen that contained flowing fluid presenting mixed echogenicity and hyperechoic particles in suspension. The exploratory celiotomy showed that the uterine horns were distended and contained a mixture of gas and liquid, hence an ovariohysterectomy was performed. The uterine fluid was collected with aseptic technique into a syringe and submitted to the clinical pathology laboratory for aerobic and anaerobic culture and antibiotic sensitivity. Hafnia alvei (now classified as Hafnia paralvei) was identified as the causative bacterial agent. Pyometra caused by gas-producing bacteria is a rare condition and is known as emphysematous pyometra. There are only six reports in the literature of this condition in bitches. A wide range of vaginal bacteria has been found in dogs with pyometra, but to our knowledge this is the first report of emphysematous pyometra caused by Hafnia paralvei in dogs.

Key words: veterinary surgery; uterus; emphysematous pyometra; Hafnia paralvei

 

Hafnia paralvei IZOLIRANA IZ EMFIZEMAZOTNE PIOMETRE PRI PSICI

Povzetek: V članku poročamo o primeru 9-letne samice pasme labradorec, ki je bil sprejet v Bolnišnici za veterinarsko medicino z anamnezo gnojnih in smrdljivih izločkov iz vulve, zmanjšanim apetitom in postopnim povečevanjem trebuha, kar je trajalo približno 20 dni pred obiskom veterinarja. Klinični pregled je pokazal napihnjen in boleč trebuh in timpanične zvoke ob pretrkavanju.  Pacientka je imela tudi sindrom sistemskega vnetnega odziva (SIRS) in povečano skupno število levkocitov (77.9 x 10 /L) zaradi povišanega števila limfocitov (62.32 x 10 /L). Rentgenska slika trebuha je pokazala razširjene cevaste strukture, ki so zasedale večino trebuha; na stranski projekciji (levo-desno) pa so ugotovili tudi dorzalni premik debelega črevesa. Ultrazvočni pregled je prav tako pokazal cevaste strukture v sredini trebuha, ki so vsebovale tekočino mešane ehogenosti s hiperehoičnimi delci v suspenziji.  Preiskovalna celiotomija je pokazala, da so bili rogovi maternice raztegnjeni in so vsebovali mešanico plina in tekočine, zato je bila izvedena ovariohisterektomija. Tekočino iz maternice so z aseptično tehniko zbrali v injekcijsko brizgo in jo predali kliničnemu patološkemu laboratoriju za ugotavljanje prisotnosti aerobnih in anaerobnih bakterij ter bakterijske občutljivosti na antibiotike. Hafnio alvei (sedaj razvrščeno kot Hafnia paralvei) so opredelili kot bakterijskega povzročitelja piometre. Piometra, ki jo povzročajo bakterije, ki proizvajajo plin, je redko stanje in je znana kot emfizematozna piometra. V literaturi je opisanih le šest primerov pri psicah. Pri psicah s piometro so našli širok spekter vaginalnih bakterij, vendar je to prvo poročilo o emfizematozni  piometri, ki jo povzroča Hafnia paralvei pri psicah. 

Ključne besede: veterinary surgery; uterus; emphysematous pyometra; Hafnia paralvei

Author Biography

Carlos Arturo Rodríguez-Alarcón, Universidad Autónoma de Ciudad Juárez

Professor 

Department of Veterinary Science

References

(1.) Qian C, Hou J. Escherichia coli virulence influences the roles of sex hormone receptors in female dogs with simulated pyometra. Exp Ther Med 2017; 14: 3013–21.

(2.) Fransson B, Lagerstedt A, Bergstrom A, et al. C-reactive protein, tumor necrosis factor α, and interleukin-6 in dogs with pyometra and SIRS. J Vet Emerg Critl Care 2007; 17: 373–81.

(3.) Pretzer S. Clinical presentation of canine pyometra and mucometra: a review. Theriogenology 2008; 70: 359–63.

(4.) Hagman R, Lagerstedt A, Hedhammar Å, et al. A breed-matched case-control study of potential risk-factors for canine pyometra. Theriogenology 2011; 75: 1251–57.

(5.) Jameson C. Emphysematous pyometra in a bitch. J Am Vet Med Assoc 1982; 181: 388.

(6.) Hernandez J, Besso J, Rault D, et al. Emphysematous pyometra in a dog. Vet. Radiol Ultrasound 2003; 44(2): 196–8.

(7.) Thilagar S, Vinita W, Heng H, et al. What is your diagnosis? Small intestinal and colonic obstruction: emphysematous piometra. J Small Anim Pract 2006; 47: 687–8.

(8.) Chang J, Jung J, Jeong Y, et al. Citrobacter emphysematous pyometra in a dog. J Small Anim Pract 2011; 48(12): 717–9.

(9.) Gomes L, Martins M, Shimozaka N, et al. Piometra enfisematosa em cadela. Semina Ciênc Agrár 2011; 32(3): 1133–8.

(10.) Chang AC, Cheng CC, Wang H. C, et al. Emphysematous pyometra secondary to Enterococcus avium infection in a dog. Tierärztl Prax K 2016; 44(3): 195–9.

(11.) Lee S, Cho J, Shin N, et al. Identification and antimicrobial susceptibility of bacteria from the uterus of bitches with pyometra. Korean J Vet Res 2000; 40: 763–7.

(12.) Lee C, Wu F, Liu P. A retrospective study on canine pyometra and hydrometra in central Taiwan. Taiwan Vet J 2006; 32: 17–3.

(13.) Zduńczyk S, Janowsky T, Borkowska I. Vaginal and uterine bacterial flora in bitches with physiological and inflammatory conditions. Med Wet 2006; 62: 116–9.

(14.) Janda J, Abbott S. The genus Hafnia: from soup to nuts. Clin Microbiol Rev 2006; 19(1): 12–7.

(15.) Padilla D, Acosta F, Ramos-Vivas J, et al. The pathogen Hafnia alvei in veterinary medicine: a review. J Appl Anim Res 2015; 43: 231–5.

(16.) Moreno C, Troncoso M, De La PC, et al. Report of four clinical cases of Hafnia alvei bacteremia in a pediatric cardiac surgery unit. Chilean Infect J 2010; 27(1): 40–4.

(17.) Kaakoush N, Quinlivan J, Mendz G. Bacteroides and Hafnia infections associated with chorioamnionitis and preterm birth. J Clin Gynecol Obstet 2014; 3: 76–9.

(18.) Rojas X, Orielc A. Hafnia alvei in an isolated equine abortion case. Vet Med Arch 1983; 15(2): 90–1.

(19.) Julian M, Paludi A, Del Sole M. Feline unilateral mydriasis as the only sign of intranasal neoplasia. Medicina-felina.com.ar http://www.medicina-felina.com.ar/articulos/para-profesionales/midriasis-unilateral-feli (14. Oct. 2018)

(20.) Ishii J, Freitas J, Arias M. Resistance of bacteria isolated from dogs and cats at Veterinary Hospital of Universida de Estadual de Londrina (2008–2009). Pesq Vet Bras 2011; 31(6): 533–7.

(21.) Huys G, Cnockaert M, Abbott SL, Janda JM, Vandamme P. Hafnia paralvei sp. nov., formerly known as Hafnia alvei hybridization group 2. Int J Syst Evol Microbiol 2010; 60: 1725–8.

(22.) Prasad VD, Kumar PR, Sreenu M. Pyometra in bitches: a review of literature. Res Rev J Vet Sci Technol 2017; 6: 12–20.

(23.) Bergstrom A. Pyometra and cyst endometrial. In: Ettinger S, Feldman E, Coté E, eds. Textbook of veterinary internal medicine disease of the dog and cat. 5th ed. St. Louis : WB Saunders, 2017: 1878–3.

(24.) Purvis D, Kirby R. Systemic inflammatory response syndrome: septic shock. Vet Clin North Am Small Anim Pract 1994; 24: 1225–47.

(25.) Han JI, Jang HJ, Jun KH. et al. Extreme leukemoid reaction in a dog with pyometra. J Vet Clin 2009; 26: 619–21.

(26.) Schultze A. Interpretation of canine leukocytes response. In: Weiss DJ, Wardrob KJ, eds Schalm's veterinary hematology. 6th ed. Ames : Wiley-Blackwell, 2010: 323.

(27.) Romero C. Human microbiology and parasitology. 3rd ed. México: Panamericana, 2007

(28.) Gao X, Zhou L, Deng G, et al. Aerobes and levels of estradiol and progesterone in cystic endometrial hyperplasia-pyometra complex bitches. J Anim Vet Adv 2011; 10: 965–71.

(29.) Groppetti D, Pecile A, Barbero C, et al. Vaginal bacterial flora and cytology in proestrous bitches: role on fertility. Theriogenology 2012; 77: 1549–56.

(30.) Giinthard H, Pennekamp A. Clinical significance of extraintestinal Hafnia alvei isolates from 61 patients and review of the literature. Clin Infect Dis 1996; 22: 1040–45.

(31.) Madec J, Lazizzera C, Châtre P, et al. Prevalence of fecal carriage of acquired expanded-spectrum cephalosporin resistance in Enterobacteriaceae strains from cattle in France. J Clin Microbiol 2008; 46(4): 1566–7.

(32.) Karamanl H, Özer TT. A rare case of Hafnia alvei pneumonia presenting with chronic obstructive pulmonary disease. Turk Gogus Kalp Dama 2017; 25: 308–11.

(33.) Nayak N, Baral N, Shrestha R, et al. Hafnia alvei bacteremia following bronchopneumonia in an eleven month old child: a case report from a tertiary care hospital in Nepal. Int J Adv Life Sci Res 2018; 1: 34–43.

(34.) Mukherjee SR, Das AM, Paranjape VL, Marwah SR. Hafnia alvei isolated from an equine aborted foetus. Indian J Anim Sci 1986; 6: 101–2.

(35.) Kitshoff A, Van Goethem B, Boyen F, Tas O, Polis I, De Rooster H. Clinical parameters as predictors of bacterial isolation in the uterine content of dogs suspected of pyometra. Vlaams Diergeneeskd Tijdschr 2015; 84: 188–96.

(36.) Hagman R. Pyometra in small animals. Vet Clin North Am Small Anim Pract 2018; 48: 639–61.

(37.) Fransson B, Ragle C. Canine pyometra: an update on pathogenesis and treatment. Compend Contin Educ Pract Vet 2003; 25: 602–11.

Downloads

Published

2019-07-03

How to Cite

Rodríguez-Alarcón, C. A., Leyva-Varela, J. A., García-Herrera, R., Montoya-Domínguez, M. O., Macías-García, B., & Beristain, D. M. (2019). Hafnia paralvei ISOLATED FROM AN EMPHYSEMATOUS PYOMETRA IN A BITCH. Slovenian Veterinary Research, 56(2). https://doi.org/10.26873/SVR-680-2019

Issue

Section

Case Report